1. トップページ
  2. 川崎市宮前区菅生2丁目 新築一戸建 4280万円 12号棟

川崎市宮前区菅生2丁目 新築一戸建 4280万円 12号棟

価格
4,280万円
物件種別
新築一戸建て
間取り
4LDK
所在地
川崎市宮前区 菅生2丁目
交通
  • 田園都市線「宮前平」駅 バス停「長沢」まで 徒歩 3 分 バス利用 15分
  • 小田急線「新百合ヶ丘」駅 バス停「聖マリアンナ医大入口」まで 徒歩 3 分 バス利用 19分
土地面積
71.83㎡
建物面積
118.82㎡
  • 前回情報更新日 2026.04.16
  • 次回情報更新予定日 2026.04.30
資料請求 現地見学 電話でお問い合わせ
0120-613-180
間取り
間取り
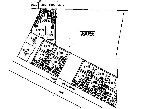
区画図
区画図
周辺環境:食品館あおば初山店(「より良い品をより安く」をモットーに、地域のお客様に安心・安全をお届けすべく、地域一番店を目指しています。)
周辺環境:食品館あおば初山店(「より良い品をより安く」をモットーに、地域のお客様に安心・安全をお届けすべく、地域一番店を目指しています。)
周辺環境:菅生小学校(昭和42年に開校した、歴史ある小学校。「優しい気持ちと明るい笑顔」を大切にして、夢広がる楽しい学校の創造を目指していきます。)
周辺環境:菅生小学校(昭和42年に開校した、歴史ある小学校。「優しい気持ちと明るい笑顔」を大切にして、夢広がる楽しい学校の創造を目指していきます。)
周辺環境:生田緑地(爽やかな風が通り、豊かな自然をそのままいかした広大な緑地。広場、プラネタリウム、バラ園など、幅広い世代が楽しめるのも魅力です。)
周辺環境:生田緑地(爽やかな風が通り、豊かな自然をそのままいかした広大な緑地。広場、プラネタリウム、バラ園など、幅広い世代が楽しめるのも魅力です。)
周辺環境:菅生中学校(小学校よりもより長い時間を過ごす中学校。ここで過ごす時間はお子様にとって大切な思い出となるはずです。)
周辺環境:菅生中学校(小学校よりもより長い時間を過ごす中学校。ここで過ごす時間はお子様にとって大切な思い出となるはずです。)
周辺環境:聖マリアンナ医科大学病院(診療部門も多く救急外来も受付しているので、ご家族の「いざ」と言う時にも安心です。)
周辺環境:聖マリアンナ医科大学病院(診療部門も多く救急外来も受付しているので、ご家族の「いざ」と言う時にも安心です。)

この物件のココがオススメ!

緑豊かな住宅地「宮前区菅生」全32棟の大規模分譲(今回販売13棟残り7棟)Wic等収納豊富な3階建

こだわりポイント

  • 自然を感じる暮らし
  • ウォークインクローゼット
  • LDKは2階に
  • LDK15帖以上
  • 主寝室 8帖以上
  • 対面キッチン
  • コンビニ10分以内
  • 総合病院10分以内
  • 小児科医院10分以内
  • 保育園10分以内
  • 公園10分以内
  • 都市ガス
  • 屋根付きカースペース
  • 3階建て以上建築可能地域

お気軽にどうぞ!

資料請求 現地見学 電話でお問い合わせ
0120-613-180

地図

申し訳ありません
こちらは会員限定機能です

会員登録で利用できる6つの便利機能

詳しく見る

間取り

お気軽にどうぞ!

資料請求 現地見学 電話でお問い合わせ
0120-613-180

ローンシミュレーション

頭金0万円・金利0.495%の場合

ボーナス時(年2回)お支払額

0

この物件の月々のお支払額

119,878

年収に対する返済比率

48

  • ※会員登録し、詳細情報を記入されますと、全ての物件で自動的に金額が表示され、大変便利です。
  • ※まだ会員登録をされていない方は、下記チェック欄をご記入ください。
  • ※上記計算は物件価格4,280万円+諸経費 8%込みの金額による結果となります。
  • ※返済金額はあくまでも目安です。

お客様の条件からシミュレーションするには?

会員登録
マイページから登録

ローンシミュレーションを入力

金利

直接入力する

ボーナス払い(年2回)

返済年数

頭金

直接入力する

 万円(半角数字)

年収

 万円(半角数字)

周辺環境

約1,300m

スーパー

周辺環境:食品館あおば初山店(「より良い品をより安く」をモットーに、地域のお客様に安心・安全をお届けすべく、地域一番店を目指しています。)

スーパー

約1,300m

約850m

小学校

周辺環境:菅生小学校(昭和42年に開校した、歴史ある小学校。「優しい気持ちと明るい笑顔」を大切にして、夢広がる楽しい学校の創造を目指していきます。)

小学校

約850m

約1,700m

公園

周辺環境:生田緑地(爽やかな風が通り、豊かな自然をそのままいかした広大な緑地。広場、プラネタリウム、バラ園など、幅広い世代が楽しめるのも魅力です。)

公園

約1,700m

約650m

中学校

周辺環境:菅生中学校(小学校よりもより長い時間を過ごす中学校。ここで過ごす時間はお子様にとって大切な思い出となるはずです。)

中学校

約650m

約400m

病院

周辺環境:聖マリアンナ医科大学病院(診療部門も多く救急外来も受付しているので、ご家族の「いざ」と言う時にも安心です。)

病院

約400m

物件概要

価格 4,280万円
物件種別 新築一戸建て
間取り 4LDK
所在地 川崎市宮前区 菅生2丁目
交通
  • 田園都市線「宮前平」駅 バス停「長沢」まで 徒歩 3 分 バス利用 15分
  • 小田急線「新百合ヶ丘」駅 バス停「聖マリアンナ医大入口」まで 徒歩 3 分 バス利用 19分
土地面積 71.83㎡
建物面積 118.82㎡
学区 菅生小学校、菅生中学校
用途地域 第二種中高層住居専用
建ぺい率 60%
容積率 160%
地目 宅地
駐車場 有り ビルトイン車庫
接道 南西4m
権利 所有権
私道面積 無し
セットバック 無し
建物構造 木造
建物階数 3階
築年月 2026年03月
入居日 即時
都市計画 市街化区域
取引態様 仲介
物件番号 A2304-12
設備 公営水道、公共下水、ビルトインガレージ、駐車場1台、緑豊かな住宅地、閑静な住宅地、都市近郊、開発分譲地内、地盤調査済、市街地が近い、総合病院徒歩10分以内、中学校徒歩10分以内、コンビニ5分以内、システムキッチン、ガス3口、L型キッチン、浄水器、ユニットバス、追い焚き、浴室乾燥機、ウォシュレット、トイレ2ヶ所、浴室に窓、暖房便座、バルコニー、テラス、3階建以上、LDK15畳以上、採光3面、全室2面採光、フローリング、クローゼット、収納、床下収納、下駄箱、全居室収納、シャンプドレッサー付き、庭、年内入居可、モニタ付きインターフォン、複層ガラス、火災警報器(報知機)、通風良好、24時間換気システム、建物10年保証
建築確認番号 第KS125-3820-50298号
特記事項 景観法:有/宅地造成工事規制区域:有/高度地区:有/準防火地域:有/日影制限:有/高さ限度:有/生産緑地地区 建物面積に車庫面積13.66m2含む ゴミ協定書A、B、C、設備共用管に関する協定書A、B、C有。 /
備考 緑豊かな住宅地「宮前区菅生」全32棟の大規模分譲(今回販売13棟残り7棟)Wic等収納豊富な3階建

お気軽にどうぞ!

資料請求 現地見学 電話でお問い合わせ
0120-613-180

このエリアでお探しの方へ

お気軽にどうぞ!

資料請求 現地見学 電話でお問い合わせ
0120-613-180
来店予約